【いわき土地建物】いわき市不動産物件掲載数No.1 いわき市の不動産のことならいわき土地建物にご相談ください。

menu
mail_outline お問い合わせ
お電話でのお問い合わせもお気軽にどうぞ phone_in_talk 0800-123-3719 営業時間:月~土曜日 AM9:00~PM6:00
日・祝祭日 AM9:00~PM6:00
定休日:年中無休

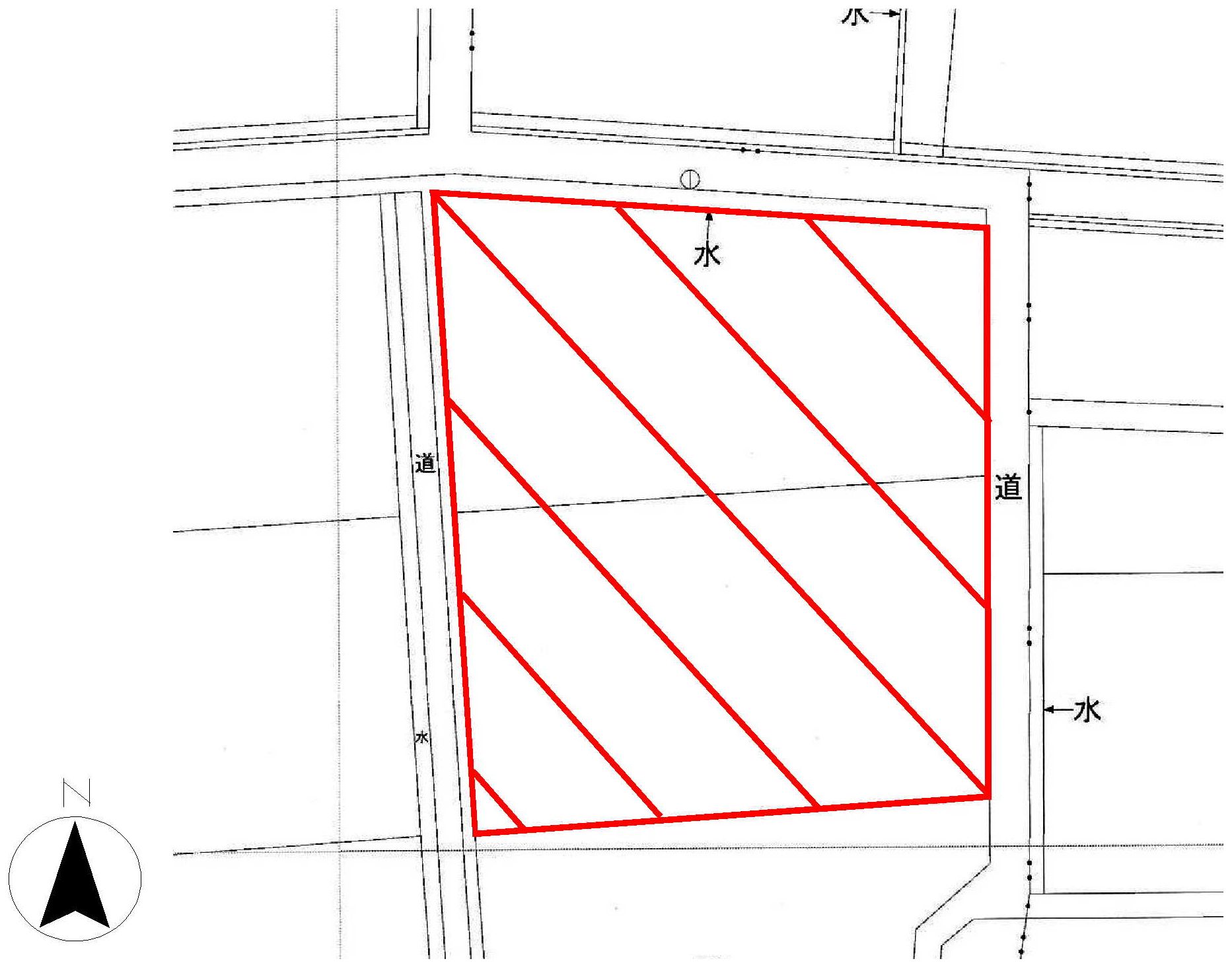
いわき市泉町本谷字大田土地

<泉町>コンビニまで徒歩約2分!広々敷地!

土地 パノラマ
価格
2,700 万円 pollローンシミュレーション
所在地
福島県いわき市泉町本谷字大田
交通
常磐線「泉」 駅徒歩37分
常磐線「湯本」 駅徒歩64分
<泉町>コンビニまで徒歩約2分!広々敷地!
アパートや事業用地等にもオススメです!

コンビニまで約160m マルトまで約2.3km 
小学校まで約2.4km 中学校まで約2.9km 

【№12255】
営業時間
月~土曜日 AM9:00~PM6:00
日・祝祭日 AM9:00~PM6:00
定休日
年中無休

現地土地写真

現地土地写真

間取

間取

いわき市の土地いわき市泉町本谷字大田土地をご覧いただきありがとうございます。いわき土地建物不動産売買仲介情報サイトでは、いわき市泉町本谷字大田土地の土地以外にも、いわき市のマンション、新築戸建、中古戸建、土地など不動産情報を多数ご紹介しております。いわき市の不動産のことなら、いわき市不動産物件掲載数No.1 いわき土地建物にお任せください!

arrow_upward