【いわき土地建物】いわき市不動産物件掲載数No.1 いわき市の不動産のことならいわき土地建物にご相談ください。

menu
mail_outline お問い合わせ
お電話でのお問い合わせもお気軽にどうぞ phone_in_talk 0800-123-3719 営業時間:月~土曜日 AM9:00~PM6:00
日・祝祭日 AM9:00~PM6:00
定休日:年中無休

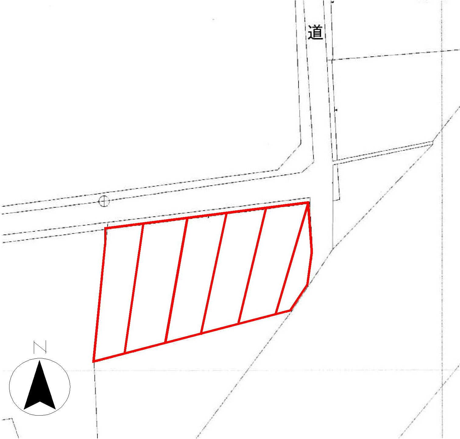
いわき市平塩字徳房内土地

※商談中

土地
所在地
福島県いわき市平塩字徳房内
交通
常磐線「いわき」 駅徒歩38分
※商談中

<平塩>角地、日当り良!
国道近く、アクセス便利

コンビニまで約500m マルトまで約2.0km
エイトプロまで約750m ツルハドラックまで約450m
ファッションセンターしまむらまで約500m
小学校まで約1.9km 中学校まで約1.9km

※農地転用後引き渡し
※水道引込無し

【№12311】

現地土地写真

現地土地写真

star物件概要

OUTLINE

所在地 福島県いわき市平塩字徳房内 建物種別 土地
土地面積 342㎡(公簿) 接道状況 一方 北公道幅員4.5m
建ぺい率 / 容積率 60% / 200% 地目
土地権利 所有権 建築条件 建築条件無
セットバック - 用途地域 第一種住居
都市計画 市街化区域
その他費用 -
設備・条件 コンビニ徒歩10分以内、建築条件なし、更地、角地、土地面積50坪以上
備考 -
学区 小学校:平第六小学校
中学校:平第二中学校

いわき市の土地いわき市平塩字徳房内土地をご覧いただきありがとうございます。いわき土地建物不動産売買仲介情報サイトでは、いわき市平塩字徳房内土地の土地以外にも、いわき市のマンション、新築戸建、中古戸建、土地など不動産情報を多数ご紹介しております。いわき市の不動産のことなら、いわき市不動産物件掲載数No.1 いわき土地建物にお任せください!

arrow_upward